Исследование мегатонных подземных испытаний с использованием спутниковых данных

Введение. Рассматриваемый здесь полигон для ядерных испытаний расположен на высокой арктической широте 73° с.ш., ближе к полюсу, чем самая северная точка Аляски. Условия на полигоне Новая Земля очень суровые. Около восьми месяцев в году он полностью покрыт снегом. Затем в июне и июле верхняя часть вечной мерзлоты оттаивает, что делает и без того плохие дороги еще хуже, а порой и вовсе непроходимыми.
Основной базой на южном берегу пролива Маточкин Шар является посёлок Северный, который стал центром подземных ядерных испытаний на этом полигоне. Как правило, для каждого испытания строились небольшие базы, предназначенные для бурения штолен в горах и подготовки ядерных взрывов.
Главным населённым пунктом на Новой Земле является посёлок Белушья Губа, административный центр двух крупных островов. Он расположен в 225 км к юго-юго-западу от базы Северный. Большинство жителей Новой Земли проживает здесь, многие из них прямо или косвенно связаны с ядерными испытаниями. Некоторые являются постоянными участниками командного и административного аппарата испытаний. Вторая большая группа — это персонал, работающий на северном полигоне в летний сезон.

В 10 км к северу от Белушьей Губы находится Рогачёво — единственный крупный аэропорт и авиабаза с взлётно-посадочной полосой длиной 2470 метров. Транспортировка грузов и людей между Белушьей Губой и Северным осуществляется частично морским путём. Также существует вертолетное сообщение между Рогачёво и посадочной полосой, расположенной всего в одном километре к юго-юго-востоку от Северного.
![]() Мегатонные подземные ядерные испытания и катастрофические события на Новой Земле: исследование с использованием спутниковых данных. (Megaton nuclear underground tests and catastrophic events on Novaya Zemlya. A satellite study.) Настоящий отчёт является новым и более полным по сравнению с отчётом о подземных ядерных испытаниях на Новой Земле, выпущенным Норвежским институтом международных отношений (NUPI) в 1992 году. Он сосредоточен на подземных ядерных испытаниях, проведённых в самой северной части арктического острова в период с 1970 по 1975 год. Некоторые из этих испытаний были взрывами мегатонной мощности. Грандиозный оползень в долине реки Журавлёвка на Новой Земле привлёк внимание, когда стало очевидно, что он был спровоцирован подземными ядерными взрывами. В 1992 году информация об этом оползне была далеко не полной. К концу первого исследования оползень был описан и измерен с использованием немногих доступных карт, а также путём интерпретации увеличенных спутниковых снимков SPOT. Тогда также было высказано предположение, что оползень мог быть вызван одним из трёх возможных подземных мегатонных взрывов. Недавние исследования, проведённые исследователем NUPI Джонни Скорве, выявили большое количество новых данных. Благодаря объединению различных типов информации и последующему анализу, исследователи NUPI смогли раскрыть драматические последствия оползня и подобных подземных ядерных взрывов. belushka.ru: Отчет Джонни Скорве (Johnny Skorve) был написан и опубликован в 2007 году. За прошедшие 19 лет с появлением Гугл Мапс необходимость в упоминаемых в отчете спутниковых снимках SPOT, Quick Bird, KH-9 ("Big Bird"), IKONOS в общем-то отпала, тем не менее они приведены на этой странице и в некоторых случаях продублированы современными (2025 г.) скриншотами Гугл Мапс. Кроме этого, район о котором идет речь, можно расматривать по этой ссылке он-лайн. Спутниковые фотографии CORONA за период 1965-72 гг. оставлены такими какие они преставлены в отчете Д. Скорве. Несмотря на логичность рассуждений и выводов, сделанных в первом отчете за 1992 год, даже МИД Норвегии не особо поверило ему. Важным подтверждением отчета-1992 послужили публикации в отечественной литературе, в частности — в книгах "Ядерные испытания СССР. Новоземельский полигон: обеспечение общей и радиационной безопаснсти ядерных испытаний." Редакционная группа под руководством В.А. Логачева — М.: ИздАТ, 2000. и В. Халтурин "Обзор советских ядерных испытаний на Новой Земле в 1955-1990 годах", на которые автор ссылается в настоящем отчете. Перевод выполнен с использованием MistralAI. |
Виды и источники новой информации: краткое описание
Отчёт комиссии Матущенко. После публикации отчёта NUPI о Новой Земле в 1993 году Норвежское министерство иностранных дел предоставило копии этого отчёта делегациям на Конференции по разоружению в Женеве. Российская делегация ошибочно восприняла отчёт как исследование, проведённое NUPI по запросу Норвежского министерства иностранных дел. Министр энергетики В.Н. Михайлов назначил экспертную комиссию из 13 человек под руководством научного советника министра А.М. Матущенко для проверки и комментирования исследования NUPI.
Несколько лет спустя NUPI получил норвежский перевод отчёта комиссии Матущенко. Комиссия подтвердила большинство важных выводов исследования NUPI и признала его в целом корректным. Члены комиссии также ответили на вопросы, поднятые в отчёте NUPI, касающиеся радиоактивных материалов, выброшенных в местах взрывов, особенно в части экологической безопасности и защиты от возможных радиоактивных выбросов в реки и прибрежные воды вдоль западного побережья Баренцева моря.
Комментарии комиссии содержали много новой и интересной информации о ядерных испытаниях на Новой Земле. Однако, что удивительно, в отчёте Матущенко не упоминался огромный оползень.
Рассекречивание фотографий американских разведывательных спутников в 1995 году. В 1960 году США начали использовать военные спутники-фоторазведчики для наблюдения и картографирования объектов военного и стратегического значения в СССР и других странах Восточного блока. В первые годы фотографии CORONA позволяли различать детали поверхности размером 5–8 метров. В период с 1965 по 1972 год лучшие снимки имели разрешение до 2 метров.
В 1995 году США объявили о рассекречивании фотографий, сделанных спутниками CORONA в 1960–1972 годах, и их доступности для мирового научного сообщества. Исследователи NUPI, изучавшие военные базы на Кольском полуострове и Новой Земле с 1986 по 1992 год с использованием гражданских спутниковых снимков, сразу оценили значение фотографий CORONA.
Исследователь NUPI Джонни Скорве подготовился к изучению этих фотографий и провёл неделю в Национальном архиве (NARA) под Вашингтоном, где сразу после рассекречивания фотографий CORONA изучал снимки, покрывающие приоритетные районы, такие как полигоны для ядерных испытаний на Новой Земле. Ранее NUPI не имел доступа к спутниковым снимкам с разрешением лучше 10 метров (SPOT). Лучшие фотографии CORONA были в 25 раз детальнее.
Вместе с фотографиями CORONA в NARA хранились карты, заметки и комментарии сотрудников ЦРУ, которые анализировали снимки 1960-х годов. Для исследователя, занимавшегося аналогичной работой в NUPI с 1985 по 1992 год, стало приятным октрытием, что подходы и интерпретации ЦРУ и NUPI во многом совпадали. Фотографии CORONA важны по нескольким причинам: они не только имеют значительно лучшее разрешение, чем SPOT и Landsat TM, но и показывают, как полигон использовался в момент съёмки, а также как его деятельность географически расширялась с течением времени.
Следует учитывать, что большинство снимков SPOT и Landsat TM, использованных в первом исследовании NUPI, были сделаны в конце 1980-х годов, когда почти все подземные испытания на острове уже завершились. С 1990 года на Новой Земле не проводилось подземных ядерных испытаний. Таким образом, все основные изменения ландшафта, вызванные ядерными испытаниями, уже произошли к моменту съёмки Landsat и SPOT.
Северный полигон на Новой Земле часто фотографировался спутниками CORONA, но из-за плохой погоды и случайного времени съёмки удалось получить лишь ограниченное количество безоблачных снимков, причём ни одного летом. Это затрудняло детальное наблюдение за развитием и расширением испытательных объектов.
![]() |
|
Фото 2. Поселок Северный — главная база для проведения ядерных испытаний на Новой Земле, обращена на запад. Гора на заднем плане похожа на горы в долине реки Шумилихи. Высокие здания (слева) также видны на изображении Quick Bird. Поскольку обширного комплекса казарм на переднем плане не было, когда Quick Bird фотографировал этот район в 2002 году (фото 3), его, должно быть, снесли и заменили новым, меньшим по размеру, с ярко раскрашенным зданием. Фото 3. Поселок Северный с высоты 450 км. Это увеличенное изображение поселка охватывает область, изображенную на наземном снимке. Было определено вероятное место съемки, но эти два снимка не совпадают во всех деталях, поскольку разница во времени между ними может составлять от 20 до 30 лет. Пронумерованные объекты на рис. 3 и 4
|
Новые данные об испытаниях на Новой Земле из официальных источников. Недавно стали доступны уточнённые данные, включая более точные географические координаты эпицентров взрывов. Также важно, что стало известно: большинство испытаний состояло из нескольких одновременных взрывов. Всего в 39 подземных испытаниях было проведено 133 ядерных взрыва.
Коммерческие спутниковые снимки высокого разрешения (США). В середине 1990-х годов высокотехнологичная промышленность оказала сильное давление на Конгресс США, Пентагон и ЦРУ, добиваясь разрешения на коммерческое производство и использование гражданских спутников сверхвысокого разрешения. После более чем двух лет переговоров промышленность добилась успеха, и нескольким американским компаниям были выданы лицензии на строительство таких спутников.
Первым из них стал IKONOS компании Space Imaging, запущенный в 1999 году. С высоты 600 км он мог делать цифровые снимки с пространственным разрешением 1 метр. Спутник Quick Bird был запущен в 2002 году, но вскоре после начала войны в Афганистане был задействован Пентагоном для военной разведки. После установления военного контроля Quick Bird был возвращён к коммерческой деятельности. Оба спутника — IKONOS и Quick Bird — сделали снимки северного полигона на Новой Земле, предоставив информацию впечатляющего качества.
Новые данные о ядерных испытаниях на Новой Земле в современной российской литературе. Одна из недавних книг полностью посвящена деятельности на Новой Земле. В ней рассматриваются различные темы, включая вопросы безопасности испытаний и их экологические последствия, а также технические детали каждого отдельного испытания. В исследовании NUPI использовались переводы на норвежский язык отдельных разделов 8-й главы этой книги.
Дополнительные рассекреченные фотографии американских военных спутников. В 1961 году, вскоре после начала использования спутников CORONA, эксперты ЦРУ столкнулись с трудностями при поиске приоритетных военных объектов на 70-миллиметровых плёнках. Тогда было начато развитие более совершенных спутников. Первые спутники серии KH-7, запущенные в 1963 году, могли делать снимки с детализацией до 1,2 м, а последующие — до 0,6 м, что сопоставимо с лучшими коммерческими спутниками сегодня.
С 1974 по 1980 год на борту спутников KH-9 ("Big Bird") устанавливались картографические камеры, которые в первые два года работы делали крупномасштабные снимки с разрешением 10 м, а позже — 7 м.
В 2002 году эти фотографии были рассекречены, но почти никакой информации о самих спутниках не было опубликовано. Картографические снимки KH-9 отличаются высоким качеством, но не являются высокодетализированными. Каждый снимок покрывает десятки тысяч квадратных километров и подходит для обзорных целей. Поскольку основной задачей была картография, для каждого района требовалось всего несколько стереопар. Соответственно, в большинстве случаев было сделано лишь по одному-двум безоблачным снимкам каждого района.
![]() |
|
Фото 4. Кабеля перекинутые через реку Журавлёвка На фотографии изображён участок реки Журавлёвка ниже по течению, недалеко от места, где она выходит из-под массивного оползня 12 сентября 1973 года. Около 4 километров река Журавлёвка течёт практически параллельно реке Шумилиха, прежде чем они сливаются. На заднем плане, в основном скрытая от обзора, река Шумилиха течёт вправо, в сторону пролива Маточкин Шар. Гора слева находится на расстоянии 7–8 километров, а округлый пик справа — примерно в 15 километрах, на западной стороне пролива Маточкин Шар. |
Сложности подготовки подземных ядерных испытаний
Подготовка к подземным ядерным испытаниям — это сложный и многогранный процесс. Территория вокруг запланированного места детонации подвергается тщательному трёхмерному геологическому и геофизическому картированию и разведке. Основным советским критерием для выбора места испытаний было требование, чтобы в радиусе 500 метров от эпицентра геология пород была однородной, с минимальным содержанием газов, льда и воды. Дополнительным условием было отсутствие значительных разломов или трещин в этом объёме породы.
Во время бурения в коренных породах проводился непрерывный геофизический и геологический мониторинг. Если обнаруживались слабые или проблемные породы, бурение останавливали и перенаправляли в другое, более безопасное место для взрыва.
При подземных ядерных испытаниях детонация обычно происходит в небольшом замкнутом пространстве. Из-за огромной силы взрыва крайне важно предотвратить выход радиоактивных газов и материалов через шахты и штольни в открытую атмосферу.
Для обеспечения герметичности шахты заполнялись специальным цементом снизу вверх так, чтобы затвердевший цемент занимал точно такой же объём, как и закачанная в шахту суспензия. Это один из ключевых способов предотвращения утечек из камер детонации.
На Новой Земле для закрытия штолен перед испытаниями требовалось большое количество цемента. Весь цемент производился на главной базе Северный в проливе Маточкин Шар, тогда как самые удалённые штольни находились на расстоянии более 10 км. Транспортировка больших объёмов готового цемента была затруднена из-за плохой инфраструктуры и суровых погодных условий. Однако в 1980-х годах дороги и мосты были значительно улучшены.
Герметизация штолен — сложный процесс. Ближе всего к камере взрыва устанавливались бетонные элементы с засыпкой между ними, что предотвращало прорыв огромного давления взрыва в штольню. Далее по штольне располагалось несколько бетонных стен, которые служили дополнительными амортизаторами давления и препятствовали выходу радиоактивных газов в атмосферу.
Подготовка подземных ядерных испытаний требует много времени и технически сложна из-за необходимости соблюдения множества процедурных шагов. После размещения ядерных зарядов в полостях породы шахты и штольни укрепляются от воздействия взрыва, как описано выше.
Основная цель и приоритет ядерных испытаний — регистрация и хранение данных с многочисленных датчиков, установленных вблизи камер детонации, а также в стратегически важных точках шахт и штолен. Эти данные необходимы для разработки методов создания более эффективного и разнообразного ядерного оружия.
Большая часть данных передаётся от датчиков через пучки специальных кабелей, протянутых по штольням и шахтам к центру сбора и хранения информации. Обычно эти центры располагаются в специальных трейлерах за пределами горы, недалеко от базы. После установки ядерного заряда на дне шахты все датчики в этой зоне подключаются и объединяются в кабели перед началом полного заполнения шахты цементом. Небольшой открытый канал в центре шахты оставляет место для кабелей до самой вершины.
Однако эти кабельные каналы крайне уязвимы для воздействия взрыва, как в штольнях, так и в шахтах. Чтобы снизить этот риск, кабели заключают в прочные металлические оболочки, закреплённые цементным раствором. Также используется оборудование для блокировки газов, чтобы предотвратить выход опасных газов через кабельные каналы.
На Новой Земле была создана Государственная комиссия, отвечающая за планирование и организацию испытаний. Одной из её главных задач было предотвращение распространения радиоактивных газов от подземных взрывов в окружающую среду. Лучшим способом для этого было использование определённых погодных условий, при которых преобладающий восточный ветер уносил любые выбросы газов в сторону Карского моря.
К сожалению, такие благоприятные погодные условия на полигоне осенью встречаются крайне редко. Иногда персоналу приходилось ждать больше месяца, прежде чем получать разрешение на проведение испытаний. Такие длительные задержки были очень стрессовыми и изматывающими для сотен сотрудников, задействованных в финальной подготовке испытаний.
Тяжёлые конструкции, оборудование и топливо необходимо было доставлять на многочисленные буровые базы полигона. Рассекреченные фотографии американских разведывательных спутников показывают, что при доставке строительных материалов на Новую Землю морскими грузовыми судами не всегда использовались портовые сооружения главной базы Северный.
Во второй половине 1960-х годов несколько подземных испытаний проводилось вблизи пролива Маточкин Шар. Исследование NUPI показало, что на спутниковых снимках того периода видно, как зимой некоторые суда проплывали мимо гавани Северный и останавливались севернее, где разгружали груз на толстый лёд, покрывающий пролив Маточкин Шар. Отсюда крупные грузовики транспортировали материалы на буровую базу, расположенную в непосредственной близости от горного склона с входами в штольни.
![]() |
|
Фото 5. Заснеженный район ядерных испытаний на Новой Земле. Эта фотография северного полигона ядерных испытаний на Новой Земле была сделана разведывательным спутником CORONA поздним утром в марте 1966 года. Снимок охватывает территорию размером примерно 15х15 км и показывает местность в восточном направлении, при этом тени ландшафта падают в сторону зрителя.
|
Самая мощная серия подземных
ядерных взрывов на Новой Земле: 1970–1975
Подземные ядерные испытания на Новой Земле начались в 1964 году. Первоначально они проводились на северной части полигона, недалеко от пролива Маточкин Шар. Однако самые мощные подземные испытания произошли в юго-восточной части полигона в период с 1970 по 1975 год.
В 2002 году неожиданно были рассекречены высокодетализированные фотографии, сделанные спутниками KH-7. Исследователь NUPI Джонни Скорве обнаружил в новых архивах несколько почти безоблачных снимков северного ядерного полигона на Новой Земле. Один из лучших снимков, сделанный в июне 1967 года, показывает, что восточная часть долины реки Шумилиха в то время была практически нетронутой человеческой деятельностью.
Спутниковые фотографии CORONA, сделанные в 1970 году, выявили, что за три года (с 1967 по 1970) военные значительно расширили свою деятельность вглубь долины реки Шумилиха, готовясь к новым ядерным испытаниям. В этой зоне находится долина реки Журавлёвка, которая позже была перекрыта катастрофическим оползнем.
Гора Чёрная высотой почти 900 метров состоит из трёх основных слоёв пород. Верхняя и нижняя части представляют собой углисто-глинистые сланцы с некоторыми различиями в составе. Между ними залегают доломитизированные известняки, сформированные в виде моноклинного изгиба, наклонённого к югу под углом около 30° относительно горизонтальной плоскости (Халтурин, 2005: 23; Логачев, 2000: 339).
Когда оползень начал движение в верхней части склона долины, он спустился вниз толстыми слоями, которые почти горизонтально распространились по дну долины. В результате река Журавлёвка, протекающая по долине, была перекрыта. Постепенно образовалось озеро, теперь известное как озеро Наливное.
![]() |
|
Фото 6, 7, 8. Место испытаний 1973 года до и после взрывов.
|
![]() |
Аварии и меры безопасности
Во время подземного испытания 14 октября 1969 года, к северо-востоку от главной базы Северный, из штольни вырвалось радиоактивное облако, подвергшее облучению многих сотрудников. Согласно отчёту: "Несколько сотен сотрудников, находившихся вблизи радиоактивного облака, получили лучевые поражения. Их эвакуировали только через 40–60 минут…" (Халтурин, 2005: 27). К счастью, это был один из немногих случаев, когда радиоактивный газ проник на поверхность вблизи персонала, занятого в ядерных испытаниях.
Вторая драматическая авария произошла в августе 1987 года, когда мощный выброс горячего газа прорвался по геологическому разлому близ штольни. Расплавив слой вечной мерзлоты у поверхности, газ вырвался наружу. Люди вблизи были быстро эвакуированы.
В качестве стандартной меры безопасности на Новой Земле перед подземным ядерным испытанием весь персонал полигона эвакуировался. ВМФ СССР арендовал пассажирские суда, которые забирали эвакуируемых из поселка Северный и уходили на безопасное расстояние до детонации зарядов. После успешного испытания пассажиры возвращались на полигон.
Для защиты персонала от радиоактивного облучения вокруг эпицентров каждого подземного ядерного испытания устанавливалась сеть небольших дозиметрических станций. Они измеряли уровень радиоактивности и могли сигнализировать об опасности, отслеживая распространение и уровень радиации. В нескольких случаях эта сеть оказалась очень полезной: ответственные за испытания знали, где находятся опасные зоны, и могли эвакуировать персонал до того, как радиоактивные газы достигали людей. Вертолёты использовались для установки дозиметрических станций в труднодоступной местности, что делало службу радиационного мониторинга очень надёжной.
В первые годы проведения испытаний специалисты сталкивались с авариями, которые, вероятно, стали ценным опытом для планирования крупного испытания в долине реки Журавлёвка в сентябре 1973 года.
Такие ядерные испытания контролировались из крупных, хорошо оснащённых фургонов, физически соединённых с ядерным устройством в камере взрыва пучками кабелей. Эти кабели также использовались для диагностического наблюдения и мониторинга окружающей среды внутри испытательной горы. Фургоны принимали и хранили все критически важные данные о ядерных взрывах. Перед подземным ядерным испытанием фургоны перемещали в прочный защитный железный корпус, который обычно строился примерно в 100 метрах от входов в штольни.
![]() |
|
Фото 9. Выброс радиоактивного газа На фотографии запечатлён бурный выброс потока радиоактивного газа, прорвавшегося сквозь землю вскоре после подземного ядерного взрыва на северном полигоне Новой Земли. На переднем плане виден один из многих вертолётов, которые быстро эвакуировали персонал из опасной зоны. Фото 10. Железное укрытие для туннеля (Устье штольни) На фотографии показано внутреннее пространство железного корпуса, построенного перед входами в штольни, ведущие к взрывным камерам для подземных ядерных испытаний на Новой Земле. Такие корпуса позволяли продолжать горные и подготовительные работы в течение долгой и суровой зимы. Прежде всего, такие же защитные железные укрытия использовались для записи данных и измерений, полученных в результате ядерных взрывов. Это осуществлялось изнутри контрольных фургонов, которые перемещались в эти прочные укрытия перед испытаниями. Кабели из взрывных камер и штолен подключались к приборам в фургонах. |
В конце 1960-х годов при детонации ядерного заряда внутри крутого прибрежного горного массива высотой 500–600 метров у пролива Маточкин Шар произошёл крупный оползень. Обломки завалили железный корпус с фургонами, в которых хранились жизненно важные данные и измерения, собранные во время ядерных взрывов.
На место были направлены эксперты, чтобы оценить возможность раскопок фургонов. Между огромными валунами, покрывающими железный корпус, они увидели голубоватое свечение — прозрачный газ, выходящий из трещин внизу. Это было так называемое излучение Черенкова, вызванное радиоактивными частицами от ядерного взрыва внутри горы. Группа немедленно отступила. Из-за опасности не рекомендовалось раскапывать и извлекать данные из фургонов. Однако часть данных была передана на контрольный пост, расположенный на безопасном расстоянии.
Строительство и подготовка к подземным ядерным испытаниям были крайне сложными и трудоёмкими. Для повышения безопасности персонала, работающего внутри горы, на случай неожиданных критических ситуаций бурились аварийные штольни, обеспечивающие быструю эвакуацию к базовому лагерю.
Катастрофический оползень сентября 1973 года
Оползень 1973 года был поистине огромным: он покрыл более 3 миллионов м² дна долины. В отчёте NUPI за 1992 год его объём оценивался примерно в 60 миллионов м³, но более поздние российские оценки указывают на объём около 80 миллионов м³ (Логачёв, 2000: 339).
На самом деле оползень ещё больше, чем видно на спутниковых снимках, так как значительная его часть была затоплена поднимающимся уровнем воды в новообразованном озере Наливное. Юго-западная часть дна озера теперь покрыта породами из оползневых масс. Озеро увеличивалось в размерах и объёме по мере того, как вода постепенно затопляла верхнюю часть долины. Массы пород, сошедшие со склона верхней части долины, состояли из камней самых разных размеров, поэтому в них были пустоты. У основания оползня эти пустоты позволили воде из озера проникнуть и двигаться вдоль долины, просачиваясь вниз через старое русло реки Журавлёвка. Вода снова появляется на поверхности у края оползня, более чем в двух с половиной километрах ниже по течению от нижнего конца озера. Через некоторое время после образования озера Наливное уровень воды перестал подниматься, так как был достигнут баланс водного потока через оползень.
![]() |
|
Фото 11. Долина реки Шумилиха, ядерный полигон, конец лета. Уровень воды низкий, а плоская пойма покрыта рядами песчаных ряби, образованных относительно неравномерным турбулентным потоком, вероятно, во время высокого весеннего/раннего летнего паводка. |
Сравнение снимков IKONOS и Quick Bird, сделанных в два разных летних сезона, выявило лишь незначительные различия в уровне воды. На зимнем снимке SPOT середины 1980-х годов озеро выглядит значительно меньше, чем на различных летних снимках SPOT. Однако разумно ожидать более низкого уровня воды зимой из-за малого стока по сравнению с весной и летом, когда таяние снега и льда приводит к высокому стоку. В целом колебания речного стока отражают как сезонные, так и случайные изменения метеорологических условий.
На фотографиях KH-7 (1965) и CORONA (1970) даже можно проследить расположение покрытого льдом и снегом русла реки Журавлёвка.
В 1992 году было известно только, что этот оползень, скорее всего, был спровоцирован одним из трёх ядерных испытаний, проведённых в этом районе между 1970 и 1975 годами. Новая информация из российской документации точно датирует оползень: 12 сентября 1973 года было проведено самое мощное подземное ядерное испытание на Новой Земле. Как обычно, сейсмологи использовали глобальные данные для определения местоположения взрывов и измерения их суммарной мощности. В 1990-х годах эксперты пришли к выводу, что мощность испытания немного превышала две мегатонны.
Шокирующее открытие
Стереопара фотографий CORONA, сделанных на полигоне в конце весны 1970 года, показала существование базы и ясно продемонстрировала, что деятельность по ядерным испытаниям переносилась в самую южную часть долины реки Шумилиха. Ландшафт тогда ещё был полностью покрыт снегом, а многочисленные следы на снегу свидетельствовали о транспортировке техники как минимум за последний месяц до съёмки спутником CORONA. Следы вели к нескольким интересным объектам, но самым интересным была новая, относительно крупная база, строящаяся в юго-западной части долины реки Журавлёвка.
Когда Джонни Скорве сравнил эти фотографии CORONA со снимками SPOT конца 1980-х, он понял, что эта база была раздавлена и погребена под 50-метровым слоем пород на дне оползня объёмом 80 миллионов м³, сошедшего с северо-восточной части верхнего склона долины реки Журавлёвка.
Это открытие было сделано в NUPI в 1997 году. После критического анализа материалов и данных, использованных для интерпретации, стало ясно, что действительно произошло крупномасштабное событие, спровоцированное мощным подземным ядерным испытанием. Однако в то время не было ясно, какое из трёх возможных испытаний его вызвало.
![]() |
|
Фото 12. Путь аппаратных фургонов по потоку оползня. Вид на юг: катастрофический оползень и озеро Наливное. Приблизительные местоположения обозначены кругами:
|
![]() |
Место с 12-го фото в ГуглМапс |
Открытие выявило очевидную катастрофу глобального масштаба. Соответственно, было решено проинформировать Министерство иностранных дел Норвегии. На встрече с отделом, занимающимся российскими отношениями, представитель NUPI представил результаты анализа последствий огромного оползня, обнаруженного по спутниковым снимкам. Было объяснено, что это открытие стало возможным благодаря знаниям, полученным во время исследования NUPI 1991–1992 годов с использованием гражданских спутниковых изображений, а также новой информации, извлечённой из двух рассекреченных фотографий CORONA 1970 года. Однако Министерство иностранных дел Норвегии с трудом поверило выводам NUPI, утверждая, что событие такого масштаба не могло остаться незамеченным.
Годы спустя россияне сами признали, что катастрофический оползень был вызван четырьмя подземными ядерными взрывами, проведёнными в сентябре 1973 года. Поскольку крупная база была построена в этой долине всего за три года до этого, маловероятно, что здесь ожидали крупного оползня во время планируемых ядерных испытаний, или хотя бы во время подготовки к ним. С другой стороны, после успешного испытания такого масштаба потеря базового лагеря могла быть сочтена приемлемой жертвой.
На самом деле, именно эта база использовалась для подготовки и проведения самого мощного и сложного подземного ядерного испытания на Новой Земле. Иронично, что люди, работавшие на базе, сами уничтожили свой лагерь, инициировав взрывы, которые спровоцировали огромный оползень.
Учитывая чрезвычайно мощные ударные волны от испытания сентября 1973 года и крутизну склона долины, откуда сошёл оползень, наиболее вероятно, что массы пород начали двигаться всего через несколько секунд после детонации. Если бы в это время на базе или в долине реки Журавлёвка находился персонал, у них не было бы никаких шансов на выживание. В течение нескольких минут вся территория была покрыта десятками метров оползневых обломков.
Как уже упоминалось, подготовка к испытанию 1973 года в долине реки Журавлёвка была ранее зафиксирована на фотографиях CORONA, сделанных в мае 1970 года. Они показывают, что новая испытательная база была построена примерно в 200 метрах от южного склона долины, что соответствовало ожидаемому расположению входа в штольню. Ни на одном другом доступном спутниковом снимке этой территории не запечатлено ничего до того, как она была полностью покрыта огромным оползнем три года спустя.
Позднее россияне признали, что процедуры этого комплексного испытания явно отклонялись от нормы. Например, контрольные трейлеры, упоминавшиеся ранее, не были размещены вблизи входа в штольню. Их переместили через долину к месту, где маленькая река Журавлёвка впадала в более широкую и открытую долину Шумилиха. Здесь трейлеры находились на расстоянии около 1500 метров от входа в штольню. Техникам пришлось протягивать кабели от горного входа до трейлеров, чтобы записывать все измерения, проводимые во время ядерных взрывов.
Государственная комиссия по ядерным испытаниям признала риск наличия крутого склона высотой более 700 метров над входом в штольню. Предыдущая авария, когда контрольные трейлеры были погребены под крупным оползнем, послужила серьёзным предупреждением, которое было учтено при подготовке к испытанию сентября 1973 года.
Командно-наблюдательный пост находился на небольшом холме близ пролива Маточкин Шар, примерно в 10 километрах к северу от испытательной базы. С этой точки был виден верхний склон горы Чёрная. Когда одновременно взорвались четыре ядерных устройства, земля содрогнулась. Затем часть горы начала сползать по склону долины реки Журавлёвка — начался катастрофический оползень!
Двигаясь с высокой скоростью и на широком фронте, массы пород распространились по дну долины. Они врезались в трейлеры и их оборудование, подбрасывая их на поверхность оползня, который перенёс их на несколько сотен метров к другому склону долины. Вся масса наконец остановилась вскоре после того, как немного поднялась по противоположному склону, более чем в двух километрах от места начала движения.
![]() |
|
Фото 13. У насыпи плотины, образовавшейся в результате обрушения части горного массива после проведения подземного ядерного испытания 12.09.1973 г. в штольне-шахте горы Черная. На снимке участники испытания (слева-направо): Трутнев Ю.А., Калинин О.М., Миненко Н.Г., Цырков Г.А., Карякин В.И., Тимофеев В.А. |
Перед детонацией наблюдательный вертолёт поднялся в воздух и был готов снимать на видео и фотографировать гору Чёрная с высотной точки в момент взрывов. Детальные наблюдения за неожиданным катастрофическим оползнем стали ценным бонусом. Вертолёт также смог отследить движение трейлеров, пока они не остановились на поверхности оползня. С вертолёта было видно, где именно на поверхности оползня находились трейлеры. Таким образом, эксперты добрались до точного места всего за два часа. Внешне трейлеры были повреждены, но экспертам удалось проникнуть внутрь, где они обнаружили, что все данные, зарегистрированные во время испытания, остались невредимыми.
Сразу после детонации персонал на командном пункте увидел три белых гейзероподобных столба, бьющих из вершины горы Чёрная. Это были высокоскоростные радиоактивные паровые выбросы, достигшие, по оценкам, высоты в несколько тысяч метров. Места выбросов пара на вершине горы хорошо совпадают с тремя эпицентрами этого испытания, обнаруженными и идентифицированными в ходе исследования NUPI. Паровые гейзеры ясно подтвердили, что в этом испытании радиоактивность не была полностью локализована.
Это наблюдение также подтверждается отчётом американских и российских учёных, недавно изучавших данные и документацию по предыдущим ядерным испытаниям на Новой Земле. В отношении подземного испытания сентября 1973 года эта группа учёных заявляет, что ядерные устройства, вероятно, были заложены слишком близко к поверхности, чтобы удержать последующие выбросы радиоактивности.
База в зоне оползня
Спутники CORONA делали фотографии в мелком масштабе. Чтобы рассмотреть мелкие детали, их приходилось увеличивать в 20–50 раз. На плёнке база занимала менее 2 ммх2 мм, тогда как её реальные размеры составляли около 650х800 метров, причём длинная ось была параллельна склону долины.
Несмотря на сложности, связанные с сильным контрастом между снежным покровом и более тёмными частями базы, интерпретация снимков позволила понять, как была организована база. Некоторые здания были расположены поперёк долины, другие — вдоль её направления. Здания имели разную длину, но в целом одинаковую полуцилиндрическую форму, что в арктическом климате является оптимальным решением: снег на таких конструкциях не накапливается, а легко скатывается или сдувается ветром. Здания такого типа хорошо известны по наземным и спутниковым фотографиям баз на Новой Земле (фото 25).
![]() |
|
Фото 14. Крупная испытательная база, 1970 год Фотография, сделанная спутником CORONA в мае 1970 года, показывает нижнюю часть долины реки Журавлёвка, всё ещё покрытую снегом. В центре снимка видна база, строящаяся для самого важного и крупнейшего подземного ядерного испытания на Новой Земле. Удлинённое, тёмное и неровное образование в верхней части фотографии — это тень горы Чёрная. Источником массивного оползня является крутой участок горного склона позади базы. Это увеличенный фрагмент составляет всего около 1/10 000 части от всего снимка CORONA. |
На базе велись земляные и строительные работы, а в её южной части, судя по всему, устанавливались высокие заборы. Расположение базы явно указывает на то, что она предназначалась для подготовки новых ядерных взрывов. Именно отсюда координировались буровые работы, включая бурение штолен и шахт в породе для размещения ядерных зарядов и приборов, которые должны были быть доставлены в глубокие взрывные камеры горы Чёрная.
Как в бывшем Советском Союзе, так и в США управление подземными ядерными испытаниями и сбор жизненно важных технических и научных данных осуществлялись из центра, расположенного внутри или рядом с базой. Часто для этого использовались специальные прочные трейлеры, как упоминалось ранее.
Испытания с несколькими взрывами
Уже давно известно, что практически все подземные испытания на Новой Земле состояли из нескольких почти одновременных взрывов. 39 подземных испытаний на Новой Земле включали в общей сложности 133 взрыва. Согласно международным соглашениям, для того чтобы взрывы считались одним испытанием, они должны происходить в течение 0,1 секунды, а эпицентры должны находиться в пределах круга радиусом менее 1 км. В противном случае каждый взрыв будет засчитан как отдельное испытание.
![]() |
|
Фото 15. Место испытаний 12 сентября 1973 года. На фото показано местоположение эпицентров взрывов 12.09.1973 г., спроецированное на косой снимок высокого разрешения, сделанный спутником KH-7 в октябре 1965 года. Территория долины реки Журавлёвка покрыта снегом, а южный склон долины и часть горы Чёрная находятся в тени. Тёмная часть фотографии была скопирована и обработана, чтобы выявить релевантные детали, в результате чего освещённые части получились пересвеченными.
Чёрная линия это проекция 1223-метровой штольни, пробуренной от базового лагеря до взрывной камеры KB-1 внутри горы. |
Россия не раскрывает информацию о точной мощности каждого взрыва, указывая только диапазон, причём в широких пределах. Например, если взрыв описан как находящийся в диапазоне 20–150, это означает, что его мощность могла составлять от 20 до 150 килoтонн.
Известно, что испытание, проведённое 12 сентября 1973 года, включало четыре отдельных взрыва со следующими диапазонами мощности:
- A: 1500–10 000 килoтонн
- B: 150–1500 килoтонн
- C: 150–1500 килoтонн
- D: 150–1500 килoтонн
Комбинированное размещение ядерных зарядов
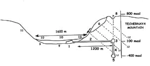
Три ядерных заряда были размещены в штольнях, а детонация произошла под горой высотой 700–800 метров. Самый мощный заряд взорвался на дне 500-метровой шахты, пробуренной вертикально вниз от конца 1223-метровой штольни (№ 5 на рис. 16), которая вела от базы в долине реки Журавлёвка вглубь горы. Таким образом, между зарядом и эпицентром на вершине горы было около 1200–1300 метров породы. Взрыв KB-4 на этом участке имел мощность от 1,5 до 10 мегатонн.
![]() |
|
Рисунок 16. Профиль долины реки Журавлёвка. Поперечное сечение, проходящее через штольню от базы до взрывной камеры KB-1, а также через шахту вниз до взрывной камеры KB-4. Вверху сечение пересекает центр самого большого кратера. Слева показан источник схода породы, дно долины и поперечное сечение оползня.
|
Помимо катастрофического оползня, это испытание привело к образованию двух крупных кратеров в горной местности, где находились эпицентры взрывов (№ 3 и 5 на фото 17, № 1 и 2 на фото 19), сразу к югу от долины реки Журавлёвка. Более крупный кратер расположен на северном склоне возвышенности, а другой — на противоположном склоне той же возвышенности.
Большой кратер был образован совокупным воздействием двух одновременных взрывов. Штольня была пробурена на юго-восток от боковой долины реки Журавлёвка в гору Чёрная. Взрывная камера на конце 1223-метровой штольни стала местом размещения ядерного заряда KB-1 (№ 3 на рис. 16) мощностью от 150 до 1500 килoтонн.
Именно из этой камеры шахтёры пробурили 500-метровую вертикальную шахту диаметром 3 метра (№ 4 на рис. 14), где была подготовлена ещё одна взрывная камера. Здесь был размещён самый мощный ядерный заряд (KB-4) (№ 5 на рис. 16) на глубине около 1200 метров ниже вершины горы.
Поверхностные нарушения и кратеры проседания
Два крупных кратера в этом районе были обнаружены на снимках Landsat и SPOT во время первого исследования NUPI. Недавние измерения на спутниковых снимках IKONOS и QuickBird показали, что диаметр большего из двух кратеров составляет 270 метров, а глубина — 70 метров (№ 3 на фото 17).
Рядом с его восточным краем находится вытянутый гребень из скальных пород (№ 4 на фото 17), который также образовался в результате взрывов. Его размеры составляют примерно 170 × 260 метров. Поскольку этот крупный кратер и поднятие скального гребня находятся так близко друг к другу, они, вероятно, были образованы одновременно двумя ядерными взрывами KB-1 и KB-4 непосредственно под ними. Это свидетельствует о том, что драматическое событие полностью разрушило поверхностную площадь размером около 400 × 450 метров, центрированную вокруг их общего эпицентра.
![]() |
|
Рисунок 17. Оползень и озеро Наливное. Снимок QuickBird территории катастрофического оползня:
|
К востоку от кратера расположено несколько длинных открытых концентрических трещин, особенно в районе к югу от края кратера (№ 4 на фото 18). Вероятно, они были образованы сильными ударными волнами от мощных взрывов. Самые длинные трещины достигают около 200 метров в длину, но не более 50 метров по прямой линии, так как они пересекаются узкими перпендикулярными трещинами. Трещины продолжаются в несколько ином направлении, создавая нерегулярный узор. Они должны быть довольно глубокими, так как в верхней части трещин видны тёмные тени, и большинство из них, судя по длине теней, имеют ширину около метра или более.
Кратер на южном склоне горной долины(№ 5 на фото 17) имеет диаметр 150 метров, но окружающая местность не так нарушена, как вокруг самого большого кратера. Это можно объяснить тем, что южный взрыв (KB-3) был значительно слабее, и, следовательно, его ударная волна нанесла ущерб меньшей площади вблизи эпицентра. Тем не менее, это всё ещё один из крупнейших кратеров на северном испытательном полигоне Новой Земли.
![]() |
|
Фото 18. Кратер диаметром 270 метров. Увеличенное изображение QuickBird показывает огромные наземные последствия многомегатонных подземных ядерных взрывов 12 сентября 1973 года:
|
![]() |
Место с 18-го фото в ГуглМапс |
Интерпретация снимков CORONA этой новой базы (фото 7) была затруднена, несмотря на разрешение 2–3 метра. Из-за снежного покрова на местности наблюдался экстремальный контраст между ярким снегом и тёмной почвой и породами, что мешало полноценному использованию разрешения снимков по сравнению с тем, что можно было бы получить на безснежных летних фотографиях.
Возможно, база не была полностью достроена на момент съёмки, но могла быть завершена к концу летнего сезона 1970 года. К концу 1970 года база напоминала небольшой горнодобывающий городок, готовый начать бурение штолен и шахт в горе. Вероятно, такая ситуация сохранялась год или полтора, пока все штольни и шахты не были готовы для установки оборудования для ядерных испытаний. В 1972–1973 годах база стала более высокотехнологичной, принимая ядерные заряды и передовые приборы контроля и мониторинга для испытаний.
Мощность взрыва и локализация
Испытание, проведённое в сентябре 1973 года и подготовленное на базе в долине р. Журавлёвка, было уникальным, так как впервые (не впервые, см. Опыт штольня-скважина — belushka.ru) использовалось гибридное решение, сочетающее размещение ядерных зарядов в штольнях и шахтах. Первая часть штольни была пробурена в вечной мерзлоте, тогда как внутренние части, а также вся шахта находились ниже границы вечной мерзлоты, в среде с температурой выше нуля.
Линия наименьшего сопротивления к свободной поверхности (LLR) — важное соотношение между подземным ядерным взрывом и его воздействием на окружающую среду. Её можно описать как направление линии от места взрыва через самую слабую часть защитного слоя породы к поверхности над ним. Именно физические свойства и прочность пород над ядерным зарядом при подземной детонации определяют, насколько мощным может быть взрыв, чтобы оставаться локализованным.
Например, если качество породы лишь среднее, то для обеспечения локализации взрыва толща горной породы должна быть больше по сравнению со случаем высококачественной породы.
Глубина размещения ядерного устройства зависит от ожидаемой/рассчитанной мощности взрыва и определяется как: МАСШТАБИРОВАННАЯ ГЛУБИНА ЗАЛОЖЕНИЯ (SDOB). При определении глубины заложения ядерного устройства используется следующий общий закон масштабирования энергии, согласно которому глубина взрыва рассчитывается по формуле: D = q1/3, где D — глубина в метрах, а q — мощность в килoтоннах (кт).
Применяется обратный кубический закон масштабирования.
Четверное испытание в долине реки Журавлёвка
Чтобы понять, почему и как был спровоцирован катастрофический оползень, логично проанализировать масштабированную глубину заложения (SDOB) и линию наименьшего сопротивления (LLR) для испытания сентября 1973 года.
Три из четырёх ядерных зарядов были размещены в горе через горизонтальные штольни и ответвления от них, поэтому их LLR были почти одинаковыми. Местный рельеф на вершине горы Чёрная, вероятно, различается менее чем на 100 метров по высоте для трёх эпицентров, поэтому все эти заряды имели LLR в диапазоне 600–700 метров. Однако самый мощный ядерный взрыв произошёл на дне 500-метровой шахты, пробуренной вниз от штольни, поэтому его LLR составлял около 1200 метров. Обычно LLR направлена почти вертикально вверх от места расположения ядерного устройства в коренных породах.
Совместный эффект одновременных подземных взрывов KB-1 и KB-4 был наиболее впечатляющим: они совместно создали большой кратер диаметром 270 метров. Измерение тени от края кратера на спутниковом снимке QuickBird показало, что его глубина составляет около 70 метров.
Примерно в 600 метрах к западу от кратера диаметром 270 метров находится другой кратер диаметром 150 метров. Скорее всего, он был образован тем, что в отчёте определено как взрыв KB-2.
Изучение снимков QuickBird этой местности выявило интересную особенность всего в 220 метрах к северо-западу от общего эпицентра взрывов KB-1 и KB-4: это округлый участок диаметром около 100 метров с высокой концентрацией крупных валунов. Вероятно, это эпицентр взрыва KB-3 (№ 3 на фото 19). Это поле валунов, скорее всего, образовалось, когда ударные волны разрушили поверхность породы прямо над ядерным взрывом, произошедшим на глубине около 700 метров.
Помимо образования кратеров и фрагментации поверхности породы, это же испытание спровоцировало катастрофический оползень, перекрывший всю долину Журавлёвка.
Если рассматривать LLR всех четырёх взрывов вместе, они, похоже, были направлены в сторону южного склона долины реки Журавлёвка. Именно здесь оползень начал движение, когда одновременные взрывы вызвали расширение грунтовых движений с пиковыми скоростями в направлении линии выхода LLR. Эти движения сместили толстый слой породы. Дестабилизация и снижение напряжения сдвига в породе инициировали движение смещённого слоя, что привело к огромному оползню, распространившемуся по долине Журавлёвка.
Как уже отмечалось, мощность четырёх ядерных детонаций известна только в широких пределах. Однако российские источники предоставили данные о суммарной мощности мегатонн, детонированных ежегодно на северном полигоне Новой Земли. Учитывая мощность двух других подземных испытаний в 1973 году, можно уточнить общую мощность испытания в долине реки Журавлёвка 12 сентября 1973 года — а именно 4,2 мегатонны (Халтурин, 2005: 25).
Дополнительная информация из России указывает на то, что ядерный заряд на дне шахты был самым мощным из четырёх взрывов.
Как упоминалось ранее, один из трёх других зарядов был детонирован на пересечении конца штольни и вершины шахты. Российские источники пока не предоставили более точной информации о местонахождении двух других взрывных камер. Для испытания сентября 1973 года российские источники сообщили, что LLR = 95 м/кт(1/3).
Недавно американские и российские учёные изучили несколько вероятных пространственных распределений мощности. Их вывод: распределение мощности четырёх взрывов с LLR = 95 м/кт(1/3), как сообщалось в российских источниках, несовместимо с общей мощностью 4,2 мегатонны. Правило безопасности LLR ≥ 100 м/кт(1/3), необходимое для удержания взрывов, по-видимому, не было соблюдено (Халтурин, 2005: 25).
Таким образом, глубина заложения (LLR = 1200 м), выбранная для самого мощного ядерного устройства, оказалась недостаточной для ядерного испытания мощностью 4,2 мегатонны.
Сочетание этой новой информации с интерпретацией и анализом высокодетализированных спутниковых снимков IKONOS и QuickBird позволило определить вероятное местоположение эпицентров двух других взрывов (KB-2 и KB-3), изучая поверхностные нарушения, вызванные их ударными волнами. В 600 метрах к западу от большого кратера диаметром 270 метров находится кратер диаметром 150 метров, очевидно, созданный взрывом KB-2. В центре этого кратера находится эпицентр взрыва.
После того как ранее неизвестные места двух подземных взрывов были идентифицированы, в NUPI была создана трёхмерная система координат x-y-z для всех четырёх ядерных взрывов испытания сентября 1973 года.
Когда Россия впервые объявила, что это испытание состояло из четырёх детонаций, в NUPI сразу поняли, что самый южный кратер диаметром 150 метров был образован одним из четырёх взрывов этого испытания.
Таким образом, оползень можно поставить в правильное геометрическое соотношение с четырьмя местами почти одновременных взрывов. Анализ спутниковых снимков с учётом различных поверхностных эффектов показал, что мощность самого южного взрыва KB-2 должна была быть сильнее, чем у KB-3. Очевидно, для образования кратера диаметром 150 метров требовалась значительно большая мощность, чем для взрыва, создавшего участок разрушенной поверхности горы диаметром 100 метров, поскольку оба взрыва произошли примерно на одной и той же глубине. Когда сейсмологи и геологи позже изучат это более подробно, они, вероятно, смогут точнее рассчитать соотношение или разницу между мощностями этих двух взрывов.
Используя кратеры и разрушенные поверхности пород для определения эпицентров подземных ядерных взрывов, удалось предоставить следующие координаты эпицентров для подземного ядерного испытания 12 сентября 1973 года:
- KB-1: кратер 270 м, 73.329° с.ш., 54.976° в.д.
- KB-4: кратер 270 м, 73.329° с.ш., 54.976° в.д.
- KB-2: кратер 150 м, 73.315° с.ш., 55.062° в.д.
- KB-3: разрушенная порода 100 м, 73.330° с.ш., 54.979° в.д.
Нанесение этих координат на карту показывает, что все они расположены почти на одной прямой линии с азимутом направления 43°/223°, что почти параллельно гребню горы, где проводилось испытание. Измерения координат были выполнены с использованием геокорректированного снимка QuickBird. Расстояния между центрами двух кратеров и разрушенной зоны следующие:
- между KB-2 и KB-1/KB-4 — 620 метров,
- между KB-1/KB-4 и KB-3 — 220 метров.
Глубина взрывов KB-1, KB-2 и KB-3 составляла около 700 метров, тогда как глубина KB-4 была 1200 метров.
Поскольку все четыре взрыва были одновременными, их ударные волны образовали интерференционную картину. Таким образом, был спровоцирован огромный оползень, образованы два крупных кратера, а поверхность горы вблизи эпицентров была разрушена, с разломами и трещинами ещё дальше.
Очень важным моментом является интерференция ударных волн, так как это создаёт совокупную мощность, превышающую сейсмические эффекты от каждого из четырёх взрывов по отдельности (Халтурин, 2005: 27).
Возможность определить местоположение всех четырёх эпицентров взрывов 12 сентября 1973 года позволит точнее рассчитать их мощность и то, как ударные волны спровоцировали катастрофический оползень в долине реки Журавлёвка. Знание того, что была значительная разница в мощности между взрывами KB-2 и KB-3, может облегчить получение более точного распределения мощности между четырьмя взрывами.
Альтернативное местоположение взрыва KB-3?
На более позднем этапе исследования, лежащего в основе этого отчёта, верхняя часть горы Чёрная к востоку от следа оползня была изучена более детально. Были обнаружены дополнительные нарушения рельефа, вероятно, вызванные близлежащими ядерными взрывами 12 сентября 1973 года.
Но можно ли объяснить эти нарушения местоположением четырёх детонаций, как указывалось ранее? Альтернативное объяснение может заключаться в том, что взрыв KB-3 произошёл несколько восточнее.
Результаты этого нового обзора представлены ниже.
![]() |
|
Фото 19. Ледник, повреждённый подземными ядерными взрывами. Снимок QuickBird 2002 года территории катастрофического оползня:
|
Было обнаружено эллиптическое образование на расстоянии около 550 метров от кратера диаметром 270 метров. Размеры центрального эллипса составляют 60 × 90 метров, а внешнего концентрического кольца — 110 × 150 метров. Похоже, что вытянутое образование поднимается в северном направлении, где его край хорошо заметен. Однако южный край в основном "погребён" в ландшафте (№ 4 на фото 19). По форме, внешнему виду и местоположению это образование сразу выделяется как возможный кратер проседания, вызванный подземным ядерным взрывом. Его местоположение находится в пределах требуемого радиуса 1 километра от других эпицентров этого испытания. Альтернативное объяснение может заключаться в том, что это карстовая воронка, вызванная растворением доломитового известняка.
Однако, в отличие от двух соседних кратеров проседания и разрушенной зоны, это образование выглядит очень гладким и ненарушенным. На склоне ниже него нет следов камней и обломков, которые можно было бы ожидать при мгновенном образовании кратера после подземного ядерного взрыва.
Географические координаты центра этого эллиптического образования: 73.378° с.ш., 54.993° в.д. Оно, похоже, находится в центре изгиба геологической складки. Можно было бы ожидать найти больше складок по соседству, но их нет. Возможно, это объясняется тем, что поблизости есть разлом, который мог прервать следующую складку. Кроме того, эта область находится очень близко к краю доступного снимка QuickBird, поэтому, к сожалению, мы не можем увидеть достаточно соседнего ландшафта для проведения надлежащей геологической оценки.
Кроме того, ледник в непосредственной близости (центральная правая часть фото 19) имеет ненормальный, очень изрезанный вид. Это резкое изменение внешнего вида могло быть вызвано ударными волнами от подземного взрыва. Очевидно, что сильные силы сжали или сдвинули большие массы пород с севера и юга, почти разделив ледник на две части (№ 6 на фото 19).
Этот ледник мал по сравнению с тем, что находится в нескольких километрах восточнее и стекает в долину, обращённую на север, где он перекрыт большой конечной мореной у подножия долины. За последние 150 лет значительная часть нижней части долинного ледника постепенно отступила из-за таяния льда в результате климатического потепления. Значительная часть воды, собираемой рекой Журавлёвка, питающей запруженное озеро за оползнем, берёт начало в этой ледниковой зоне.
Небольшой ледник вблизи кратеров проседания виден на снимках Landsat TM и SPOT конца 1980-х годов. Поскольку он выглядит почти так же, как на снимках IKONOS и QuickBird 2000 и 2002 годов, это указывает на то, что он не был очень активным.
Фотография CORONA конца весны 1970 года показывает ледниковую зону в безоблачных условиях. Всё покрыто снегом, и форма ледника, проступающая сквозь снег, выглядит ровной и гладкой. Это сильно указывает на то, что ледник приобрёл свой странный, искривлённый вид из-за ударных волн, вызванных подземным испытанием сентября 1973 года.
Ненарушенное, гладкое окружение эллиптического образования без каких-либо признаков насильственного разрушения местности, типичного для подземного ядерного взрыва, делает маловероятным, что это образование является эпицентром взрыва KB-3. Скорее всего, совокупная мощность всех взрывов стала причиной наблюдаемых повреждений и изменений ледника, расположенного в 350–850 метрах к востоку от их общего эпицентра. Подъём породных масс в средней части ледника имеет явное сходство с крупными насыпями, прилегающими к кратеру диаметром 270 метров. Снимок QuickBird показывает, что система разломов и трещин, окружающих кратер диаметром 270 метров, простирается до зоны, где расположены эллиптическое образование и ледник. Кроме того, узор и форма системы разломов и трещин, похоже, сфокусированы вокруг эпицентров KB-1 и KB-4. Это делает ещё менее вероятным, что эллиптическое образование было местом эпицентра взрыва KB-3.
Понимание оползня
Долина реки Журавлёвка видна на фотографиях CORONA и KH-7 (фото 6 и 7). Фотография KH-7 конца весны 1967 года была сделана в то время, когда эта территория ещё не была затронута деятельностью человека. Фотография очень чёткая и показывает формы рельефа размером до 60 сантиметров (рис. 25A). Долина хорошо освещена солнцем, что позволяет легко разглядеть все детали склона до оползня, включая несколько следов более ранних и меньших обвалов. Вдоль верхней части склона долины много близко расположенных и параллельных следов оползней, типичных для самых крутых частей скал. Именно в этой зоне был спровоцирован катастрофический оползень 1973 года. Ниже, на дне долины, где была построена база для ядерных испытаний, разбросаны крупные валуны и обломки породы, которые в течение долгого времени откалывались от крутого горного склона. Некоторые из самых крупных валунов также видны на фотографиях CORONA 1970 года (рис. 25B) в дополнение к главной достопримечательности — новой базе, находящейся в процессе строительства. Далее на север следы оползней расположены ближе друг к другу, но значительно длиннее, так как они тянутся дальше вниз по склону к дну долины, где также разбросаны крупные валуны.
![]() |
|
Рисунок 20. Трехмерная модель рельефа долины оползня. Цифровая модель рельефа (3D-карта) долины реки Журавлёвка, вид с центральной части ядерного полигона Новой Земли. Правая половина карты доминируется горой Чёрная (высотой 840 метров). Слева этот северный горный хребет достигает 400 метров, но значительно выше дальше на восток. Катастрофический оползень начал движение с крутого склона горы Чёрная около центра карты. Чёрная внутренняя часть долины — это озеро Наливное, образованное речной водой за перекрывающей преградой оползня 1973 года. |
Крутой профиль склона долины указывает на то, что здесь можно ожидать обвалов. Достаточно плоская верхняя часть горы Чёрная находится на высоте 800–900 метров над уровнем моря, тогда как верхняя часть склона долины имеет угол наклона от 30° до 40°. На крутых уступах ниже угол наклона составляет 60°–70°, но резко уменьшается ближе к дну долины.
Недавние исследования позволили по-новому взглянуть на оползни и геологию. Сейчас признаётся, что изменение климата влияет на вероятность оползней в горных породах. Циклические периоды ледниковых эпох, чередующиеся с более тёплыми межледниковыми временами, представляют собой значительные климатические колебания.
Около 10 000 лет назад на Новой Земле, как и в остальной части Северного полушария, закончился последний ледниковый период. Ледяной покров толщиной в несколько тысяч метров растаял, и ландшафт вновь оказался открытым после более чем 100 000 лет под льдом.
Это, безусловно, относится и к долине реки Журавлёвка. Пока длился ледниковый период, эта долина была полностью заполнена льдом. После того как лёд довольно быстро исчез, склоны гор больше не были "защищены" льдом. Разгрузка после таяния долинного ледника создала новые условия. Это привело к образованию трещин отрыва, так как прочность породы на сдвиг, параллельно склону, уменьшилась. Когда слои породы разрушаются, это происходит в основном из-за нагрузки талой водой со снега, что увеличивает напряжение.
Можно сделать вывод, что долина реки Журавлёвка сегодня более уязвима для оползней из-за своего недавнего ледникового прошлого, чем это было бы в случае аналогичной долины и геологии без истории оледенения.
Насколько цельным был доломитовый известняк на испытательном полигоне, остаётся предметом предположений. Если он был закарстован, то мог содержать карстовые полости, возможно, даже небольшие пещеры. Безусловно, трещины и разломы могли быть увеличены. Может показаться странным думать о карстообразовании в арктическом климате, но есть два важных фактора, которые следует учитывать. Во-первых, CO₂ на самом деле лучше растворяется в холодной воде, чем в тёплой, поэтому вода, просачивающаяся в известняк, была бы кислой и реагировала с породой. Во-вторых, хотя ландшафт недавно подвергался оледенению, необходимо помнить, что в течение многих миллионов лет в третичный и ранний четвертичный периоды в регионе не было ледяного покрова, что давало достаточно времени для развития карстовых процессов. Таким образом, хотя породы могут казаться внешне цельными, они могут содержать скрытые карманы растворённого известняка, что снижает прочность породы на сдвиг за счёт уменьшения её сцепления.
![]() |
|
Фото 22. Горная дорога. Точное местоположение показанной здесь территории неизвестно, но, вероятно, это часть горного ландшафта внутренней территории долины реки Шумилиха на северном полигоне Новой Земли. Возле левого края виден оползень, перекрывший дорогу. В центре и справа находится ледник, окружающий гору с вершиной, покрытой облаками. |
Примечательно, что оползень 1973 года пересёк всё дно долины до противоположного склона. Кажется, что оползень даже начал подниматься по противоположному склону — это подтверждает В.Н. Михайлов. Однако, насколько нам известно, фотограмметрические измерения не проводились, поэтому уровень подъёма оползня по склону пока нельзя рассчитать с использованием стереопар снимков, сделанных с самолётов или спутников.
Недавние исследования показывают, что некоторые экстремальные оползни скользят на воздушной подушке. Таким образом, при уменьшенном трении оползневые массы могут подниматься на десятки метров по противоположному склону долины. Это наиболее вероятное объяснение того, как оползень в долине реки Журавлёвка сначала прошёл около двух километров по дну долины, а затем поднялся по противоположному склону.
Ещё один крупный оползень
Изучение высокодетализированных коммерческих спутниковых снимков этой территории привело к открытию дополнительных повреждений и нарушений рельефа в горной местности, несколько дальше от двух описанных выше кратеров в долине Шумилиха.
На восточном склоне горы внутренней части долины реки Шумилиха спутниковые снимки показывают длинный оползень, ориентированный вниз по склону в юго-западном направлении. Его ширина составляет 175–200 метров, а длина — 900 метров (№ 4 на фото 21). Массы валунов и гравия достигли дна долины. Фактически, оползень пересёк реку Шумилиха и остановился менее чем в 100 метрах от неё, на противоположном, юго-западном берегу реки (№ 5 на фото 21). На какое-то время река была перекрыта, так как вода накапливалась за оползнем. Уровень воды поднимался, но позже вода прорвала массы и вернулась в своё русло.
![]() |
|
Рисунок 21. Оползень, перекрывший реку Шумилиха. Снимок QuickBird 2002 года, показывающий район подземных ядерных испытаний к востоку от реки Шумилиха и к югу от реки Журавлёвка. Эти взрывы произошли 21 октября 1975 года.
|
![]() |
Место с 21-го фото в ГуглМапс |
Однако внезапный сброс накопленной воды мог вызвать наводнение вниз по течению в долине Шумилиха, ближе к главной базе Северный. Снимки высокого разрешения показывают, что оползень содержит многочисленные крупные валуны, некоторые размером до 20 метров, довольно однородной и округлой формы. Это указывает на то, что некоторые крупные валуны могли переместиться довольно далеко от основного пути оползня.
Внизу, в долине Шумилиха, недалеко от восточной стороны реки, было сделано ещё одно интересное наблюдение. Дорога, идущая параллельно реке, явно исчезает под оползнем, а затем появляется снова примерно в 200 метрах севернее, выходя из-под оползневых масс. Очевидно, что эта дорога существовала до оползня.
Высоко на крутом горном склоне, недалеко от места начала длинного оползня, снимки QuickBird и IKONOS показывают три зоны с разрушенной породой. Их центры примерно выровнены и ориентированы перпендикулярно направлению оползня. Все три находятся примерно на одной высоте — около 700 метров над уровнем моря. Самая большая из них, расположенная в центре, имеет сильно разрушенную поверхность шириной около 140 метров и длиной 270 метров (фото 21). Здесь много крупных валунов, некоторые размером более 10 метров, создающих хаотичный рельеф. Координаты центра этого поля валунов: 73.316° с.ш., 54.932° в.д. (№9 на фото 21).
Эти разрушенные участки явно указывают на то, что они находятся в местах эпицентров трёх одновременных подземных ядерных взрывов, упоминавшихся ранее. К сожалению, эта нарушенная зона недостаточно покрыта снимками QuickBird и IKONOS, используемыми в этом исследовании, поэтому некоторые эпицентры этого испытания не попали на доступные нам высокодетализированные спутниковые снимки.
База для бурения штолен, где проводились подземные взрывы, вызвавшие описанные выше разрушения, не могла быть построена к моменту съёмки KH-7 в 1967 году и CORONA в 1970 году. На снимках со спутников SPOT 1980-х годов её можно еле разглядеть, если знать её местоположение, но в остальных случаях её легко не заметить.
![]() |
|
Фото 23. Место ядерных испытаний 1975 года. На фотографии показана зона деятельности и последствий подземного ядерного испытания 21 октября 1975 года. Это снимок среднего разрешения, сделанный картографической камерой на разведывательном спутнике KH-9 в июле 1976 года.
|
Однако на недавних коммерческих снимках высокого разрешения база хорошо видна, хотя в большинстве случаев остались только фундаменты зданий, за исключением одного металлического полуцилиндрического здания, которое выглядит целым. Здания такого типа хорошо известны по наземным фотографиям баз на Новой Земле.
Географические координаты базы: 73.319° N, 54.904° E. (№5 на фото 23).
На фотографии, сделанной летом 1976 года одной из картографических камер KH-9, здания базы ясно видны, вероятно, потому, что они были новыми и их цвета ещё яркими (№5 фото 23). Также легко заметить недавний оползень. В целом, новые здания, инфраструктура и недавние изменения в ландшафте легко обнаруживаются на спутниковых снимках из-за их свежего вида по сравнению с более старыми объектами.
Рядом с этой базой снимки QuickBird и IKONOS показывают, что отвалы породы, видимые на фотографии KH-9 1976 года, с тех пор были выровнены. Это ясно указывает на то, что база использовалась для бурения штолен на восток в гору в рамках подготовки к подземному ядерному испытанию 21 октября 1975 года. К сожалению, район испытаний 14 октября 1970 года не покрыт выбранными частями снимков QuickBird и IKONOS, доступных для этого исследования.
На снимках CORONA внутренней части реки Шумилиха, сделанных в конце мая 1970 года, видны несколько следов на заснеженной местности, ведущих к месту, где, похоже, находится небольшое скопление крошечных зданий на западной стороне долины реки Шумилиха, сразу к югу от небольшого округлого холма в умеренно возвышенном ландшафте. Эти фотографии CORONA были сделаны за пять месяцев до подземного ядерного испытания 14 октября 1970 года. Транспортная активность, зафиксированная на фотографиях, делает более вероятным, что эта небольшая база использовалась для подготовки к этому испытанию. Однако из-за отсутствия спутниковых снимков высокого разрешения, покрывающих эту базу, не удалось изучить поверхностные эффекты, вызванные этим испытанием, или их местоположение.
Географические координаты этой базы: 73.309° с.ш., 55.917° в.д. (Вероятно речь идет о базах с координатами 73.31231993471458, 54.892397203081615, потому что в указаных в отчете координатах находится мыс Серный на северном берегу пролива Маточкин Шар — belushka.ru). Измерения были сделаны на геокорректированной фотографии CORONA.
Сейсмические эпицентры
В исследовании NUPI 1992 года о Новой Земле не удалось установить связь между сейсмическим местоположением эпицентров и двумя кратерами, хорошо видимыми на снимках Landsat и SPOT.
Как подробно описано, местоположение детонаций 12 сентября 1973 года теперь довольно хорошо известно. Согласно лучшим оценкам, неопределённость в отношении местоположения эпицентров описывается эллипсом, который можно разместить вокруг эпицентра. Размер эллипса является мерой неопределённости: чем он больше, тем выше неопределённость. Неопределённость определяется относительно одного эталонного взрыва — хорошо определённого и центрально расположенного подземного ядерного взрыва на северном полигоне Новой Земли, а именно испытания 29 сентября 1976 года.
![]() |
|
Рисунок 24. Местоположения эпицентров. На фотографии показаны сейсмические и истинные эпицентры испытаний от 12 сентября 1973 года и 21 октября 1975 года, а также входы в штольни:
|
Площадь эллипса неопределённости для испытания 12 сентября 1973 года составляет 1,4 км², что соответствует среднему радиусу-вектору 670 метров. Однако расстояние от сейсмического эпицентра до истинного, который находится очень близко к центру самого большого кратера, составляет 3100 метров. Азимут сейсмического эпицентра, наблюдаемого из истинного, составляет 119°.
Аналогичные измерения были проведены для подземного испытания 21 октября 1975 года. Здесь угол азимута сейсмического эпицентра, наблюдаемого из истинного, составляет 111°, а расстояние между ними — 2900 метров (рис. 24).
Интересно отметить, что для этих двух испытаний азимуты отличаются всего на 8°, а расстояния между истинными и сейсмическими эпицентрами почти идентичны.
Значительные расстояния между истинными и сейсмическими эпицентрами объясняют, почему в исследовании NUPI 1992 года о Новой Земле было сочтено неразумным связывать эти сейсмические эпицентры с двумя большими кратерами в нижней части долины реки Журавлёвка, учитывая небольшие размеры их эллипсов неопределённости. Отсутствие такой связи было отмечено в отчёте NUPI 1992 года о Новой Земле.
Последствия катастрофического оползня
Снимки SPOT и Landsat TM конца 1980-х годов показали, что ядерное испытание 12 сентября 1973 года не было единственным в долине Журавлёвка. Было запланировано ещё три подземных испытания для северного склона долины, на противоположной стороне от места оползня. Однако из-за того, что оползень заполнил всю южную часть долины, эти планы пришлось изменить.
Дорога от поселка Северный у пролива Маточкин Шар, идущая на юго-восток по долине Шумилиха, не могла быть продолжена, как планировалось, в долину реки Журавлёвка. Новая дорога должна была повернуть на север и подняться на дальний край оползня (обозначение 7 на фото 17). Отсюда дорога продолжалась почти горизонтально на высоте около 70 метров над уровнем моря, согласно топографическим картам, вдоль края оползня до северо-западного конца озера Наливное. Затем дорога шла дальше на восток, над и параллельно берегу озера, и заканчивалась, пройдя две трети длины озера.
![]() |
|
Фото 25. Испытательная база на берегу озера Наливное. Это самая восточная из трёх баз для ядерных испытаний, расположенных на северном берегу озера Наливное в долине Журавлёвка. База находится к северу от крупной базы, построенной для испытания 12 сентября 1973 года. Местоположение этой базы обозначено как A на фото 12. 68-метровая ржавая конструкция в правой центральной части снимка — это железное укрытие, защищающее вход в штольню. Через её нижний конец порода, добытая при прокладке штольни, транспортируется наружу и складируется в отвалы на косе внизу справа. На базе несколько полуцилиндрических зданий длиной от 9 до 30 метров. Над холмом (верхняя часть фотографии) находится довольно крутой склон. Многочисленные маленькие светлые пятна — это камни, соскользнувшие или скатившиеся вниз. В верхней правой части видны тёмные линии и изгибы — это каменные стены, построенные для защиты базы от камнепадов. Слева находится прямоугольный каменный забор, защищающий одно из зданий.
|
![]() |
Место с 25-го фото в ГуглМапс |
Здесь находится самая южная из трёх баз для бурения штолен в гору высотой 500–600 метров на противоположной стороне долины реки Журавлёвка (обозначения A, B и C на фото 12). Две другие базы также расположены недалеко от дороги. Первая из них находится у северо-западного конца озера, а другая — на полпути вдоль северного берега. Самая северо-восточная база (A) показана подробно на фото 25. Все три базы имеют штольни, пробуренные почти перпендикулярно в гребень горы. Подземные ядерные испытания привели к нескольким нарушениям поверхности и рельефа, из которых здесь упоминается только самое крупное. На другой стороне горного гребня, к северу от долины реки Журавлёвка, в соседней долине детонации вызвали широкий и очень длинный оползень, который был даже больше, чем оползень от октября 1975 года (описанный в главе выше). Фронт этого оползня остановился очень близко к дороге, ведущей от Северного через долину Шумилиха к другой базе для подземных ядерных испытаний.
![]() |
|
Фото 26. Горная испытательная база. Эта наземная фотография и спутниковый снимок QuickBird (фото 27) показывают одну и ту же территорию, дополняя друг друга и предоставляя более полную информацию о базе.
Фото 27. Горная испытательная база (вид с высоты 450 км). Снимок QuickBird типичной базы на Новой Земле, предназначенной для бурения штолен для проведения подземных ядерных испытаний. База расположена в 3,5 км к северу от базы для испытания 12 сентября 1973 года и близко к северному берегу озера Наливное. На этой базе расположены различные полуцилиндрические здания: самое длинное — 30 метров, самое короткое — 9 метров. Вход в штольню, ведущую в гору, изогнут и защищён большой железной конструкцией длиной около 65 метров и шириной 7 метров. Конструкция соединена с наклонным веерообразным крылом размером 14 × 30 метров. Породные массы, вынесенные из штольни, были выровнены перед базой и занимают площадь 185х230 метров. В ходе исследования стало ясно, что ранее была сделана наземная фотография этой базы (фото 26). Нумерация объектов на этих двух снимках совпадает, так как они обозначают идентичные объекты, видимые на обоих фотографиях. |
Итоги
Целью исследования, лежащего в основе этой новой публикации NUPI, было получение более полных и точных знаний о мощных подземных ядерных испытаниях, проведённых на северном полигоне Новой Земли в первой половине 1970-х годов. С конца 1990-х годов стала доступна ценная информация из различных источников в России и других странах. Ключевым фактором в этом исследовании стало сочетание новой информации с интерпретацией и анализом спутниковых снимков полигона для ядерных испытаний.
Большинство спутниковых снимков, использованных в отчёте NUPI 1992 года, были сделаны спутниками Landsat и SPOT во второй половине 1980-х годов. Это были снимки среднего разрешения. К 2004–2005 годам стал доступен широкий спектр спутниковых снимков, многие из которых имели высокое разрешение — обычно от 0,6 до 2 метров. Кроме того, поскольку съёмка охватывает длительный период (с 1965 по 2002 год), на снимках запечатлены многие различные фазы развития и события.
Систематическое сравнение мультивременных снимков позволило выявить важные события. Самым драматичным из них стало погребение в сентябре 1973 года второй по величине базы на полигоне Новой Земли под поистине массивным оползнем (80 миллионов м³), вызванным самым мощным подземным испытанием из когда-либо проводившихся.
Спутниковые снимки также содержат дополнительную информацию, которую не удалось полностью использовать в этом исследовании. Например, склон долины реки Журавлёвка, с которого сошёл оползень, ещё не был должным образом измерен и нанесён на карту. Это можно будет сделать с помощью фотограмметрических методов, сочетая стереофотографии, сделанные спутником KH-7 в 1967 году (до оползня), с недавними стереоизображениями, сделанными после оползня спутниками QuickBird или другими американскими коммерческими спутниками высокого разрешения.
![]() |
|
Фото 28. Дорога, повреждённая наводнением. На снимке QuickBird показана главная дорога между прибрежной базой Северный (в 6 км левее) и южной частью полигона Новой Земли. Более 100 метров дороги размыто паводковой рекой, текущей справа. Ниже по течению от дороги затопленная территория достигает ширины около 400 метров.
Размер территории на фотографии: 800 х 1100 метров. |
В последние годы стала доступна значительная новая информация о ядерных испытаниях бывшего Советского Союза, как это документировано в работе Халтурина и др. (2005). Однако, по мнению автора, всё ещё отсутствует более глубокая информация о последствиях мощных подземных ядерных взрывов на Новой Земле.
Поскольку Новая Земля сегодня является единственным полигоном для подземных ядерных испытаний в России, соображения национальной безопасности ограничивают то, что может считаться "открытой информацией". Тем не менее, можно предоставить больше информации, не подвергая опасности безопасность. В конце концов, независимо от причин их возникновения, действительно крупные оползни представляют значительный интерес для геотехнической науки.
Катастрофический оползень 12 сентября 1973 года — один из крупнейших в последние времена. Документация уникальна, так как он был заснят и сфотографирован с вертолёта с самого начала. Кроме того, за ним внимательно наблюдали с других точек.
Другой очень интересный случай — длинный оползень, вызванный подземным ядерным испытанием 21 октября 1975 года на Новой Земле. Этот оползень полностью перекрыл реку Шумилиха, и большие объёмы воды постепенно поднимались за породными массами. В это время года сток воды в реке низкий, поэтому накопление водных масс до прорыва барьера заняло больше времени по сравнению с тем, что произошло бы раньше в летний сезон. Это создало крайне интересную гидрологическую ситуацию и вызвало несколько вопросов:
- Сколько времени прошло от оползня до прорыва каменной преграды?
- Каков был уровень воды при прорыве?
- Насколько были затоплены берега реки при движении паводковой волны вниз по течению, и какой ущерб это нанесло?
Скорее всего, документация и наблюдения за этим испытанием и вызванным им оползнем были не менее подробными, чем в случае с инцидентом 12 сентября 1973 года.
Это два примера исследований, которые можно провести как полностью гражданские научные работы по изучению явлений, вызванных экспериментами, связанными с обороной.
belushka.ru: Необходимое послесловие.
Если вам, после прочтения этого материала, захотелось посмотреть архивные спутниковые снимки порекомендую несколько ссылок. Уже скачанные и готовые к просмотру снимки, в строке "Location" наберите "Russia" и изучайте Москву, Ленинград, Новосибирск, Архангельск и другие города СССР 1960-90-х годов. Новой Земли там нет. На этом же сайте краткая инструкция по поиску и просмотру старых спутниковых снимков (на английском), а на этом подробная на русском. (Возможно открытие этих сайтов только через ВПН).
При работе с отчетом для размещения на сайте возникло ощущение, что это какая-то выжимка из чего более глобального (в тексте упоминается нумерация глав отчета, нумерация и сноски на нужные фотографии не соответствует их содержимому). Конец отчета явно как-то "скомкан" и из него пропали спутниковые фотографии CORONA начала 70-х годов. В результате дополнительных поисков более полный отчет найден не был, но обнаружились другие спутниковые фотографии тех времен.
В первую очередь фото 6-8 из отчета крупнее (в новом окне откроются в полный размер).
![]() |
![]() |
![]() | |
На сайте globalsecurity по тэгу "novaya zemlya" оказались фотографии базы подготовки к испытаниям. Вероятно к тем самым (21 октября 1975 г.), о которых идет речь в отчете, но фотографии отсутствует. Сопоставление по методу, изложенному в отчете, подтверждает эту догадку. Красными линиями отмечены (слева направо) кратер С1 на горе Черная, расположение базы испытателей, обрывистый край горного массива. Красная точка — устье штольни.

Все найденные спутниковые снимки
https://belushka.ru/site/yadernyj-poligon/materialy-razdela/792-johnny-skorve#sigFreeId99fed6844c


































